1130L Rutledge RoadAcworth, GA 30101



Mortgage Calculator
Monthly Payment (Est.)
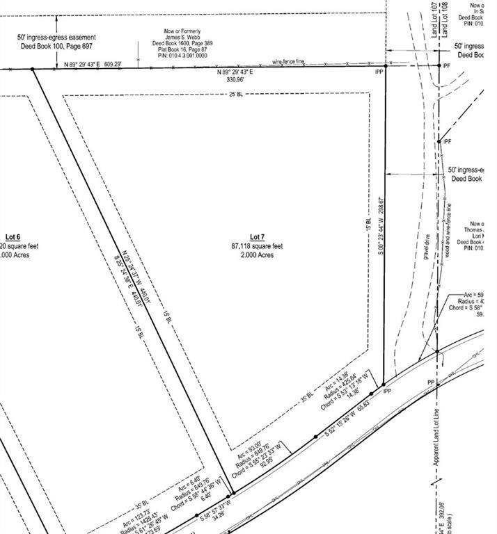
$944Discover the perfect setting for your custom home on this beautiful 2-acre wooded homesite in one of Paulding County’s most desirable areas. Surrounded by luxury homes valued from $900,000 to $1.5 million, this property offers the rare opportunity to create a private retreat while still being part of an established high-end community. Located in the highly sought-after North Paulding School District, this homesite provides the space, privacy, and natural beauty that today’s buyers are searching for. Mature hardwoods and a generous lot size create the ideal backdrop for a stunning custom residence. A minimum build requirement of 3,200 square feet ensures architectural consistency with neighboring estate homes. Whether you already have plans in mind or want help designing the perfect layout, we can build to suit and guide you through the process from concept to completion. Enjoy the balance of peaceful, wooded surroundings while remaining just minutes from shopping, dining, parks, and Lake Allatoona. Secure your homesite now and start building the lifestyle you’ve been dreaming of.
| 4 days ago | Status changed to Active | |
| 4 days ago | Listing updated with changes from the MLS® | |
| 5 days ago | Listing first seen on site |
Listings identified with the FMLS IDX logo come from FMLS and are held by brokerage firms other than the owner of this website and the listing brokerage is identified in any listing details. Information is deemed reliable but is not guaranteed. If you believe any FMLS listing contains material that infringes your copyrighted work, please click here to review our DMCA policy and learn how to submit a takedown request.
© 2017-2026 First Multiple Listing Service, Inc.

Did you know? You can invite friends and family to your search. They can join your search, rate and discuss listings with you.